Altijd actuele informatie
Direct leverbaar
Op basis van officiële gegevens
100.000+ tevreden klanten

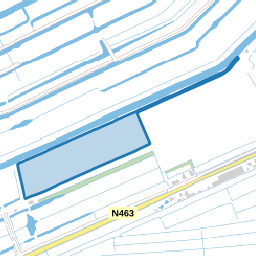
Perceel NKP01 H 789

Perceel 789 is een perceel van 52.290 m² in de kadastrale gemeente Nieuwkoop. Op dit perceel liggen geen adressen.

Delen van dit terrein worden gebruikt als begroeiing en water. Op het perceel zie je de volgende zaken liggen: erf, grasland agrarisch, grasland overig, oever, slootkant en watervlakte. In het gemeentelijk bestemmingsplan is de grond aangewezen voor de bestemming agrarisch en water.


Kenmerken

Perceel NKP01 H 789

Kadastrale gemeenteNieuwkoop
SectieH
Grootte52.290 m²

Dit object is niet adresseerbaar

Wie is de eigenaar van dit perceel?

Met het rapport Eigendoms­informatie zie direct wie de eigenaar van dit perceel is. Het rapport bevat ook andere nuttige informatie, zoals de laatste verkoopdatum, de prijs die voor de woning is betaald en bijzonderen rechten of plichten.

Eigendomsinformatie

Waar liggen de grenzen van dit perceel?

Ga je uitbouwen of een schutting (ver)plaatsen? Dan is het essentieel om te weten waar de grenzen van jouw perceel liggen, zodat je binnen de lijnen blijft. Onze maatvoeringsproducten geven je direct inzicht in de ligging van alle kadastrale grenzen.

Maatvoering

Wat mag ik wel of niet op dit perceel?

Voordat je veranderingen aanbrengt op dit perceel is het van belang op de hoogte te zijn van alle relevante regelgeving. Ons Perceelrapport geeft inzicht in de belangrijkste eigenschappen van het perceel, gebruiksbeperkingen en bestemmingsregels.

Perceelrapport